Το 1ο Γυμνάσιο Κρύας Βρύσης ανήκει στο δήμο Κρύας Βρύσης, ο οποίος βρίσκεται στο νοτιοανατολικό τμήμα του νομού Πέλλας της Περιφέρειας Κεντρικής Μακεδονίας.
Ο σημερινός κάμπος δεν υπήρχε και η περιοχή ήταν ένας απέραντος βάλτος. Με την αποξήρανση της λίμνης το 1932, ξεκίνησε η μετατροπή του βάλτου σε 288.750 στρέμματα εύφορου καλλιεργήσιμου εδάφους.
Οι πρώτες 18 οικογένειες του χωριού εφόσον ο τόπος δεν είχε σχολείο και εκκλησία, αποφάσισαν να κουβαλήσουν τσιμέντο και πέτρες με τα κάρα για να χτίσουν το 1ο μονοθέσιο δημοτικό σχολείο. Τα παιδιά της εποχής εκείνης φοιτούσαν σε γυμνάσια στα Γιαννιτσά και τη Βέροια. Αργότερα όμως ιδρύθηκε το ιδιωτικό γυμνάσιο του Κοτσιρήλου.
Οι κάτοικοι του χωριού, κοντά στα 1960, αποφάσισαν να ιδρυθεί το πρώτο κρατικό παράρτημα γυμνασίου. Αν και μια παρέα 170 ατόμων αποδοκίμασε αυτή την πρόταση, ωστόσο το σχολείο ιδρύθηκε, στο σπίτι της κυρίας Αρχοντής. Ήταν τριτάξιο και φοιτούσαν ανάμεικτα αγόρια και κορίτσια. Θέρμανση το χειμώνα δεν υπήρχε παρά μόνο μια ξυλόσομπα την οποία έπρεπε να ανάβουν και να συντηρούν τα ίδια τα παιδιά με κούτσουρα που κουβαλούσαν από τα σπίτια τους. Τα βιβλία τα αγόραζαν γιατί δεν υπήρχε δωρεάν παιδεία, αλλά είχαν το πλεονέκτημα της δωρεάν φοίτησης αφού δεν πλήρωναν δίδακτρα. Η εμφάνιση έπρεπε να είναι ευπρεπής, κουρεμένα σύρριζα τα αγόρια ενώ τα κορίτσια καλοχτενισμένα με τα μαλλιά πλεγμένα σε κοτσίδα. Η ενδυμασία απαιτούσε σχολική μαύρη ποδιά κάτω από το γόνατο και άσπρη κορδέλα στα μαλλιά.
Το 1961-1962 ξεκίνησαν πια οι εργασίες για το χτίσιμο του 1ου Γυμνασίου Κρύας Βρύσης για να εξυπηρετούνται οι ανάγκες των μαθητών του χωριού αλλά και των γειτονικών χωριών.
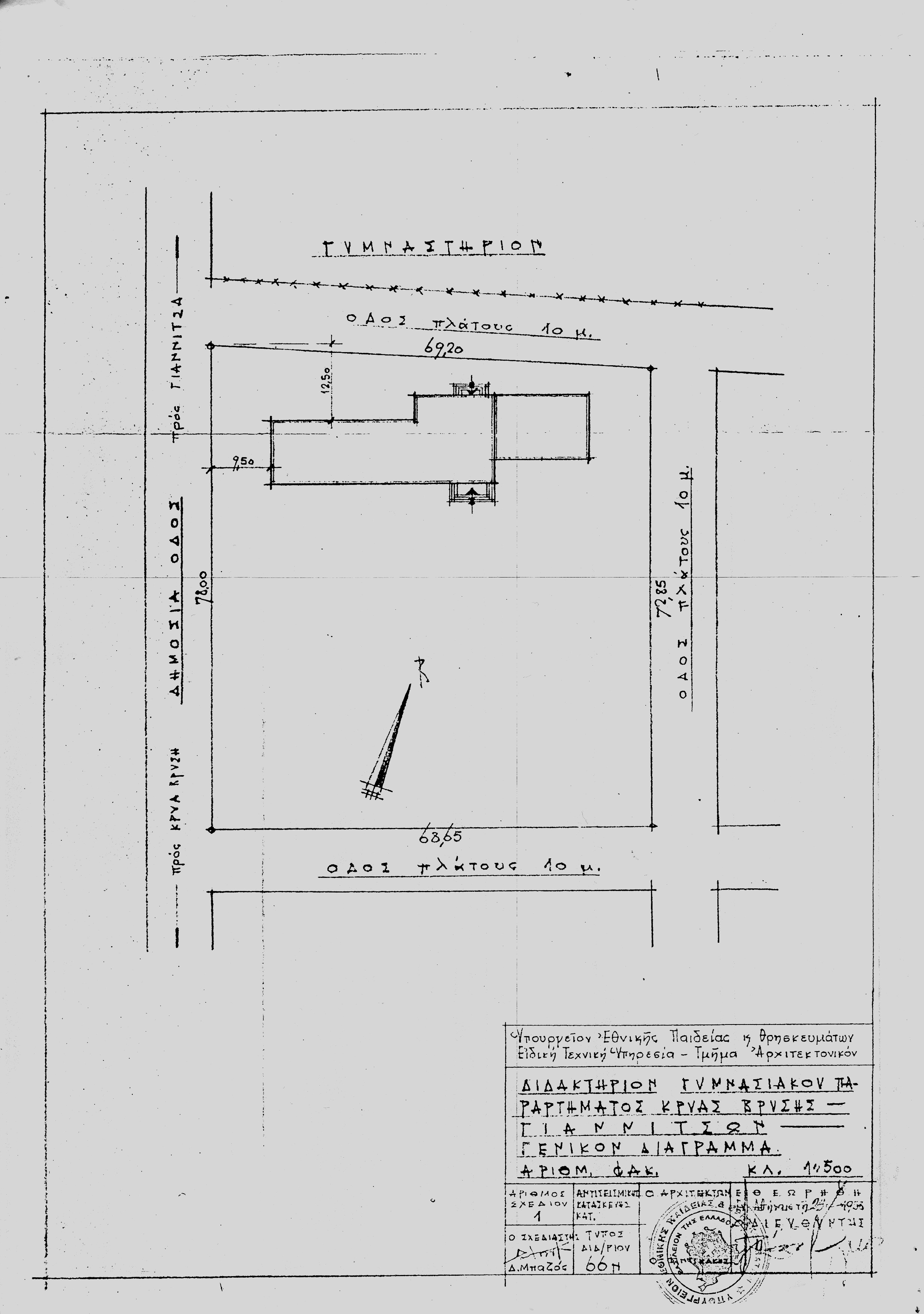
Το 1ο Γυμνάσιο ανεγέρθη κατόπιν δωρεάν χορήγησης του οικοπέδου από το Κοινοτικό Συμβούλιο. Βρίσκεται στην οδό Βασιλέως Παύλου 3 με επιφάνεια 5.120 τετραγωνικών μέτρων.
|
|
||||
| Διάγραμμα του σχολείου |
Έγκριση αρχιτεκτονικής μελέτηςγια την ανέγερση του "Γυμνασιακού παραρτήματος Κρύας Βρύσης", 27/8/1958. |
| Μαρτυρία για το θεσμό των επιδείξεων |





